近くの雑木林に生えている木は、ほとんどがドングリの木で、松が少し混じっています。
ドングリの木は、クヌギとコナラが多いです。
コナラは、ブナ科コナラ属の落葉高木で、北海道と沖縄を除く日本各地と朝鮮半島などに分布しています。
古くから薪や家具材などに利用されてきました。
樹高は20m程になり、葉は秋に黄色く紅葉します。
5月頃に花が咲き、秋に実が熟します。
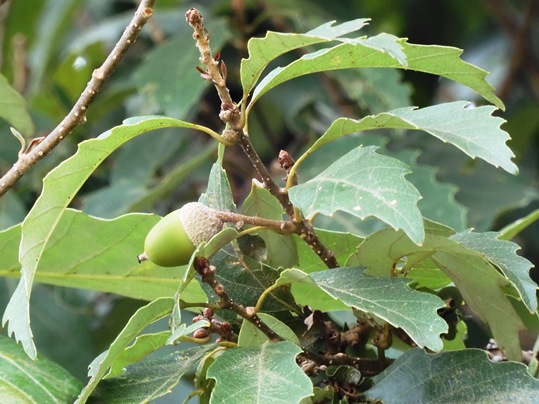
ドングリは、2㎝程の細長い形で、殻斗はお椀型をしています。
樹皮は灰黒色で、縦に裂け目ができます。
日当たりの良い場所を好みます。
コナラの実


コナラの木

コナラの葉

コナラの樹肌 苔が付き、蔦が絡んでいます。
